next up previous [pdf]

Next: Line 2: Across the Up: Seismic data Previous: Seismic data

Line 1: Unburned coal and no fissures

The first transect was recorded along a line running approximately NE-SW in an area thought to overlie purely unburned coal (based on boreholes at each end of the line). Being oriented roughly along the geologic strike, the topography along the line is generally flat and nearly horizontal. No fissures have been mapped in the area of this line. An averaged, normalized frequency spectrum of data recorded at Line 1 is shown in Figure 3. A frequency wave-number spectrum of the shot recorded at position $ 72$ m along Line $ 1$, at the southwestern end $ 10$ m SW of well #11, is shown in Figure 4.

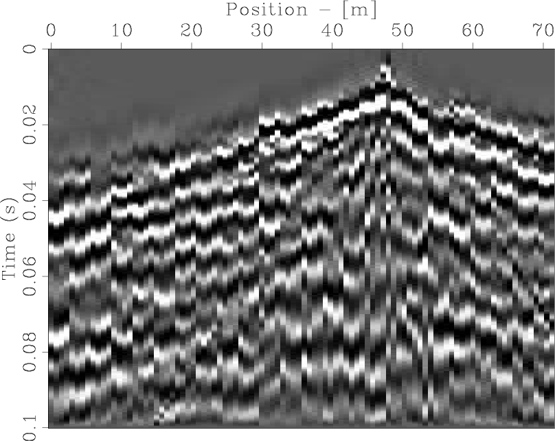
Figures 5(a)-5(f) and 6(a)-6(d) show shot gathers from shots at approximately 0 m, $ 18$ m, $ 48$ m, $ 72$ m and $ 80$ m, along Line $ 1$. For each shot the figures contain a raw data section and a 80-500Hz bandpassed gain controlled section. In general, data quality is good, and strong energy is recorded to at least $ 100$ Hz. In some shot gathers, a reflection can be observed. Energy propagates well to the farthest recorded offsets. For all of these line $ 1$ data plots, NE is to the left. The interleaving technique for interpolation worked best for the shot gather in Figure 6(c). The shot in Figure 5(c) was recorded on a sandstone outcrop on the road, the data is ringy and the interleaving technique is less successful than for other shots along this line.

Fspectra
Figure 3.
Averaged, normalized spectra of surveys at line 1 and line 2. $ \mathbf{[ER]}$
Fspectra
[pdf] [png]

FKspectrum
Figure 4.
Frequency wave-number spectrum of the shot recorded at Line 1, at $ 72$ m (see also Figure 6(b) below). $ \mathbf{[ER]}$
FKspectrum
[pdf] [png]

s1-inter-025 s2-inter-025 s1-inter-018 s2-inter-018 s1-inter-009 s2-inter-009
s1-inter-025,s2-inter-025,s1-inter-018,s2-inter-018,s1-inter-009,s2-inter-009
Figure 5.
Line 1 shot gathers: a) Raw shot at 0 m, b) shot from (a) 80-500Hz bandpass and AGC and zoom; c) raw shot at $ 18$ m, d) shot from (c) 80-500Hz bandpass and AGC and zoom; e) raw shot at $ 48$ m, f) shot from (e) 80-500Hz bandpass and AGC and zoom. $ \mathbf{[ER]}$
[pdf] [pdf] [pdf] [pdf] [pdf] [pdf] [png] [png] [png] [png] [png] [png]

s1-inter-001 s2-inter-001 s1-inter-0m8 s2-inter-0m8
s1-inter-001,s2-inter-001,s1-inter-0m8,s2-inter-0m8
Figure 6.
Line 1 shot gathers: a) Raw shot at $ 72$ m, b) shot from (a) 80-500Hz bandpass and AGC and zoom; c) raw shot at $ 72$ m, d) shot from (c) 80-500Hz bandpass and AGC and zoom. $ \mathbf{[ER]}$
[pdf] [pdf] [pdf] [pdf] [png] [png] [png] [png]

s1-inter-225 s2-inter-225 s1-inter-221 s2-inter-221 s1-inter-217 s2-inter-217
s1-inter-225,s2-inter-225,s1-inter-221,s2-inter-221,s1-inter-217,s2-inter-217
Figure 7.
Line 2 shot gathers: a) Raw shot at 0 m, b) shot from (a) 80-500Hz bandpass and AGC and zoom; c) raw shot at $ 12$ m, d) shot from (c) 80-500Hz bandpass and AGC and zoom; e) raw shot at $ 24$ m, f) shot from (e) 80-500Hz bandpass and AGC and zoom. $ \mathbf{[ER]}$
[pdf] [pdf] [pdf] [pdf] [pdf] [pdf] [png] [png] [png] [png] [png] [png]

s1-inter-208 s2-inter-208 s1-inter-201 s2-inter-201 s1-inter-2m5 s2-inter-2m5
s1-inter-208,s2-inter-208,s1-inter-201,s2-inter-201,s1-inter-2m5,s2-inter-2m5
Figure 8.
Line 2 shot gathers: a) Raw shot at $ 50$ m, b) shot from (a) 80-500Hz bandpass and AGC and zoom; c) raw shot at $ 72$ m, d) shot from (c) 80-500Hz bandpass and AGC and zoom; e) raw shot at $ 77$ m, f) shot from (e) 80-500Hz bandpass and AGC and zoom. $ \mathbf{[ER]}$
[pdf] [pdf] [pdf] [pdf] [pdf] [pdf] [png] [png] [png] [png] [png] [png]


next up previous [pdf]

Next: Line 2: Across the Up: Seismic data Previous: Seismic data

2009-05-05